1/11
Looks like no tags are added yet.
Name | Mastery | Learn | Test | Matching | Spaced | Call with Kai |
|---|
No analytics yet
Send a link to your students to track their progress

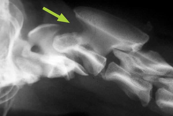
Ununited Anconeal process
happens when the growth plate is not fused, especially if the ulna is growing slower than radius
earliest it is united → 5 months
tx
NSAIDS
can take the piece out or insert metal plates

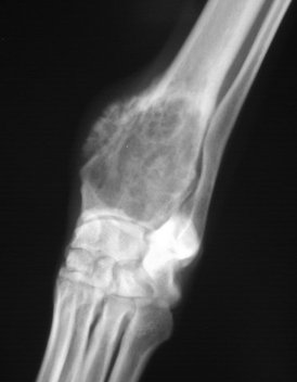
Flattening of the caudal humeral head (most common site)
due to Osteochrondritis Dissecans (OCD)
looks flatter bc cartilage is becoming thicker and thicker
will often be bilateral
large, fast growing dogs are predisposed

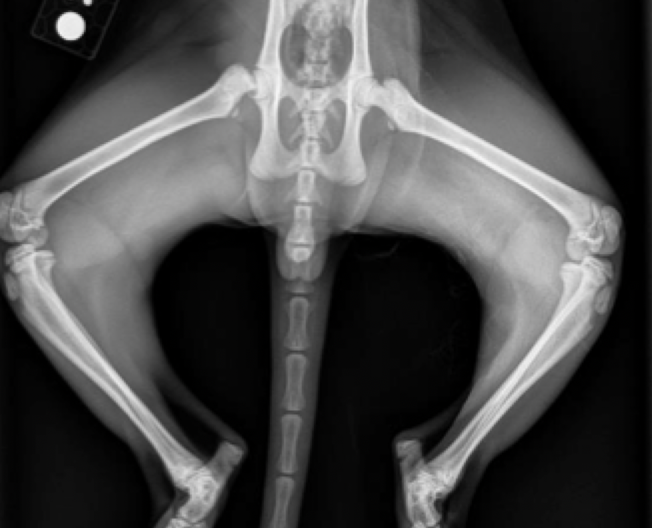
Rt. Femoral Capital Physeal Fracture
muscle atrophy evident on the Rt. leg
Salter harris type 1
delayed physeal closure in early neutered male

The physis that is most susceptible to premature closure secondary to compaction is which one?
Distal ulnar physis
w/ this one, we will often see a SH-V fracture

SALTER
S → straight across
A → above
L → below
T → through
ER → Crush

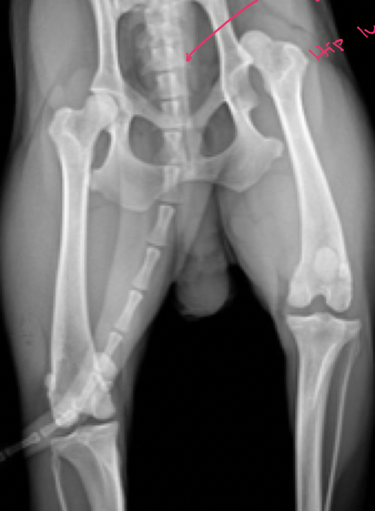
Femoral Capital physeal fracture

Craniodorsal hip luxation
tx
Ehmer sling
makes it abduct


Caudoventral hip luxation
Hobbles
we want to prevent limb from abducting


Primary Bone tumor
usually found in the metaphyseal region of long bones
ex. osteosarcoma

Atlantoaxial subluxation

Splica splint
Immobilizes the entire leg, specifically the shoulder or elbow, using a stiff splint extending over the back or chest.

A Velpeau sling
for a dog is a specialized bandage or harness designed to immobilize the forelimb by holding the carpus, elbow, and shoulder in flexion, with the leg tucked against the chest. It prevents weight-bearing, crucial for recovering from shoulder luxations, scapular fractures, or soft tissue injuries