1/18
Looks like no tags are added yet.
Name | Mastery | Learn | Test | Matching | Spaced | Call with Kai |
|---|
No study sessions yet.
darners (Aeshnidae)
wide eyes, wingless (w/ wing buds), slender body, dominant aquatic predators

cicadas (Cicadidae)
wingless, compact with strong digging forelegs, develop underground for 2-17 years

ladybugs (Coccinellidae)
black with spiny body, slender, bumpy with orange/yellow bands/spots, feeds on aphids

midges (Chironomidae)
thin with slight curve, segmented bodies, 2 fleshy prolegs beneath head, 2 at end of body, narrow digestive tract (dark line), scavengers and decomposers

tiger moths (Eribidae)
large and black/brown with dense hairs on body (wooly bear), feed on primarily stinging nettle

skimmers (Libellulidae)
stout-bodies, developed labium to capture food underwater looks like a mask on the lower face

crane flies (Tipulidae)
tan, grey, greenish grubs, plump and segmented with definite head, tiny fleshy projections at hind

brushfoot butterflies (Nyphilidae)
knobby projections, horns, and branching spines, black and speckled with small white dots

mayflies (Ephemeroptera)
wingless, external gills (long), smaller eyes and flattened head, 3 cerci

mealybug (Pseudococcidae)
Larvae called crawlers, vulnerable, white and "stringy", look like small adults

scale insects (Coccidae)
oval shaped, segmented, have legs and search for food

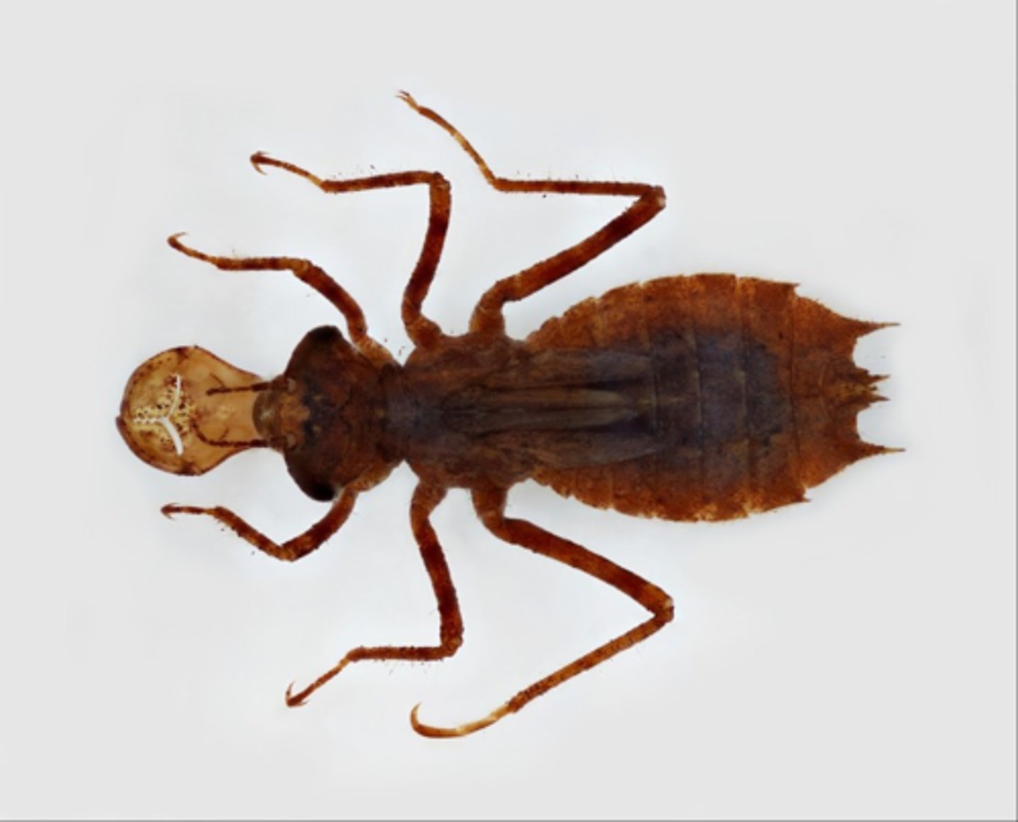
dobsonflies (Megaloptera)
called a hellgrammite, aquatic predatory larva, popular bait, strong painful bite

spreadwings (Lestidae)
develop quickly, long abdomen and distinctive prementum, three large external, fin-like gills, sensitive to oxygen and particles in water

hover flies (Syrphidae)
hunt common garden pests, small, brown, green maggots, grab aphids with jaws and drain of vital fluids.

stoneflies (Plecoptera)
flattened bodies, 2 long cerci, gills tuftlike, abdomen segmented, bottom dwellers, notable black patterns

water penny beetles (Psephenidae)
segmented abdomen w/ tiny feathery gills, circular, suction to rocks where it eats algae by using rasps on legs

flat bark beetles (Cucukidae)
small, white, wormlike/grublike, feed on other larvae and tree bark, complete metamorphosis

narrowwings (Coenagrionidae)
slender, caudal gills, predators, stalk their prey, live in most freshwater

riffle beetles (Elmidae)
long multi-segmented, pair of tiny hooks and outward pointing hairlike gills, brown, detrivores, complete metamorphosis
