1/99
Looks like no tags are added yet.
Name | Mastery | Learn | Test | Matching | Spaced |
|---|
No study sessions yet.
Protura (Telsontails, Proturans)
wingless hexapods: no eyes or antennae; internal mouthparts (entognathus); ametabolous; 500 spp

Collembola
(springtails, snow fleas)
wingless hexapods; ametabolous; internal mouthparts (entognathus); walking legs; ocelli or no eyes; tail-like spring furculum, held to body in retinaculum, peg-like collophore for water absorption 6000 spp

Diplura (Diplurans)
wingless hexapods: two long tails (may be modified to pincers), two long antennae; ametabolous; monocondylic mandibles (one joint); 800 spp

Thysanura (bristletails,silverfish)
most characterized by its silver color. wingless with several bristles protruding from its body. widest at its head, body tapers down like a carrot. chewing mouthparts

Ephemeroptera (Mayflies)
Transparent wings, of which the forewings are larger than the hindwings. Occasionally the hindwings are absent
Three long tail filaments, Very short antennae Wings held over their backs when at rest,

Aeshnidae (darners)
large eyes and large body with a characteristic "bullseye" on the forehead. preys on other insects and uses their mouthparts to catch them midair. They can also use their legs as a net to catch them.

Libellulidae (skimmers)
short thorax with broad (often patterned) wings. live near streams, rivers, and lakes. they prey on mosquitoes, and other flying insects.

Coenagrionidae (narrow-winged damselflies)
very slender abdomen. transparent and long wings that lay vertically at rest. weak flyer but at least their pretty with vivid colors.

Gomphidae (clubtails)
widely separated compound eyes. narrow thorax but bulges at the very end of the tail. carnivorous and will eat anything they physically can. Most likely aquatic organisms like tadpole and underwater insects.

Lestidae (spreadwing damselfly)
transparent wings with a black dot (pterostigma) on the tip of each of their wings. hold their wings away from their body as rest, which gives them their name.

Blattodea (cockroaches)
FW Tegmina, HW membranous; walking legs (some females are wingless); hemimitabolous; chewing mouthparts; dorso-ventrally flattened; long antennae, cerci present; produce egg cases (oothecae); omnivorous; pest of human habitations; 4000 spp.
Mantodea (Mantids)
-Large raptorial front legs
-Triangular head
-Large compound eyes
-Tegmina
-Chewing mouthparts
-Ambush predators
-Unusual mating
(1)male decapitation
(2)male eaten
-Ootheca produced
-Excellent use of mimicry and crypsis
-Startle Response

Termitidae (Termites)
Soft-bodies, no wings (generally; hemimetabolous; chewing mouthparts; all are eusocial insects; walking legs; only reproductives have wings that have fracture lines and break off when they commit to colony after courtship; 2900 spp.

Grylloblattodea (ice insects)
Slender, elongate; yellowish brown to gray in color. Wingless. Antennae long and filiform with 28 to 50 segments. Cerci long with 8 segments. Ovipositor sword shaped.
Larvae and adults may be confused with some crickets or with the phasmid genus Timema

Dermaptera (Earwigs)
rather elongated insects. They have simple, slender antennae and biting mouth-parts. Legs are thin and adapted for running.

Plecoptera (stoneflies)
4 membranous wings, elongate, flattened, cerci present, long antennae, mouthparts chewing

Tetrigrade (Pygmy Grasshopper)
<20 mm, often smaller
pronotum is highly elongated, tapered, usually covers abdomen
tegmina (forewings) small, padlike, sometimes absent, may be exposed or covered by pronotum
front and middle tarsi with 2 segments, hind tarsi with 3 segments (formula 2-2-3)
hind tibiae expanded (for swimming!) in some species
a single species can have short-winged and long-winged forms, or lack wings altogether--these forms may appear quite different
auditory and stridulatory organs absent

Acrididae (Short-Horned Grasshoppers)
pronotum does not extend beyond base of wings
wings usually well-developed, but short (brachypterous) or absent (apterous) in some species, and wing length may be variable within a single species
antennae short, typically about one-half body length, with <30 segments
tympana (hearing organs), if present, are on the sides of the first abdominal segment
hind femora greatly enlarged (for jumping), typically about as long as hind wings
ovipositor short and stout
tarsal formula 3-3-3

Tettigoniidae (Katydids)
wings held vertically over body, resembling roof of a house
antennae very long, often extending well beyond tip of abdomen
tarsi 4-4-4 (vs 3-3-3 in crickets)
tympana (hearing organs) on front tibiae
ovipositor typically flattened and sword-like
Gryllacrididae (Camel Crickets)
Hump-backed large crickets with long antennae and very long legs. Wingless, unable to chirp.

Gryllidae (Crickets/Tree Crickets)

Gryllotalpidae (Mole Crickets)
Fairly large burrowing orthopterans. Characteristics:
front legs broad, modified for digging, have large "claws"
hind legs not enlarged for jumping (compare Tridactylidae, which have enlarged hind legs)
all tarsi with three segments (formula 3-3-3)
tympana at base of front tibiae
antennae less than half body length
ovipositor variable

Phasmatodea (Walkingsticks)

Psocoptera (book/bark lice)
prominent head, threadlike antennae, thin "neck", HW smaller than FW, FW not heavily veined

Mallophaga (Chewing lice)
bristly body, toothed mandibles, small compound eyes, head wider than thorax

Anoplura (sucking lice)
feeds on: blood, human disease vectors
hosts: mammals
head is narrower than prothorax
Found on specific body parts of mammalian hosts:
i.crab louse-pubic
ii.head louse-hair on head
iii.body louse-specific body part

Corixidae (Water Boatmen)
1.freshwater aquatic
2.lack gills required to carry air bubble down into water to take in oxygen
3. Natatorial legs (swimming)
4.mostly herbivores, eat algae
Dorsum flattened, with narrow dark crosslines. Front legs short, tarsi 1-segmented and scoop-shaped. Hind legs oar-like, with fine hairs(11)

Belostomatidae (Giant Water Bugs)

Notonectidae (Backswimmers)
Aquatic bugs that often swim upside-down. When resting at the surface, body is typically tilted with the head downward.
front legs not scoop-like (unlike in Corixidae)
dorsum convex
wings clear, tips without veins
eyes typically separated by less than the width of one eye

Nepidae (Waterscorpions)

Gelastocoridae (toad bugs)
Fore leg with 2 claws, tarsus separated from tibia; profemora not broadly triangular; pronotum at base of head as wide as eyes ... ... Gelastocoris
Fore leg with one claw (2 in nymphs), tarsus & tibia look fused; profemora broadly triangular; pronotum at base of head wider at front than eyes ... ... Nerthra

Gerridae (water striders)
-Narrow body
-Tarsal modifications-allow to walk on water
-Can be found in marine environments
-Raptorial front legs
(1)Predators
-Largest family
-Can be brightly colored/marketed
(1)Mostly brown/tan locally
-Mostly phytophagous, few predators
-Some serious pests

Cimicidae (bed bugs)
-small, apricot colored wingless
-circular body, flattened extensions of prothorax behind eyes
- ectoparasites fo rodent, poultry, birds and bats
-not a vector of pathogens
- adults and nymphs hide during the day in matresses, walls and crevices
-emerge at night to feed on blood ( one feeding can last for several months, need blood to lay eggs)
- bites are painless

Miridae (plant bugs)
trichobothria on meso- & metafemora is a feature unique to mirids
Other useful features:
lack of ocelli (ocelli may be absent in other bugs, e.g. Cnemodus or Largidae, yet present in a few mirids (Isometopinae)
presence of a cuneus (a triangular-shaped region at the distal end of the fore wing) (also present among cimicoids, incl. Anthocoridae, Cimicidae, and Microphysidae)
membrane with 2 closed cells
appendages mostly long and thin

Reduviidae (assassin bugs)
-Raptorial forelegs
-Ambush predators/stalkers
-Fast acting toxin
-Some species "decorate" their backs
Short three-segmented beak used for stabbing prey. Beak folds into groove in prosternum. Head typically constricted behind the eyes, giving a neck-like appearance. Antennae long, thin, not clubbed.

Phymatidae (ambush bugs)
predatory bugs with dilated raptorial forelegs, clubbed antennae, and rear half of abdomen expanded (much wider than wings). Antennae are 4-segmented, beak 3-segmented, tarsi 3-segmented. Typically wait for prey on vegetation, especially flowers. In other subfamilies, antennae are not clubbed and forelegs usually not as dilated (if raptorial, modified otherwise).

Coreidae (leaf footed bugs)
antenna 4-segmented • ocelli present • beak 4-segmented • membrane with many veins • tarsi 3-segmented • head narrower than and often shorter than the pronotum
metatibiae in some have leaf-like expansions (e.g., Acanthocephala, Leptoglossus); in some (e.g., Chariesterus) antenna similarly expanded

Tingidae (lace bugs)
Adults have a lacelike pattern of the dorsum; nymphs usually spiny and black. Other important characters (5): ocelli absent • beak and antennae 4-segmented • scutellum hidden under posterior portion of pronotum • tarsi 2-segmented

Lygaeidae (seed bugs)

Pentatomidae (stink bugs)

Cicadidae (Cicadas)
-Largest of North America Auchenorrhyncha
-Produce very loud sounds
-Tymbals
-Fossorial front legs in nymphs
-Synchronous emergence

Cercopidae (Froghoppers, Spittlebugs)
one or two stout spines on the hind tibiae, and a circlet of spines at the apex
short bristle like antennae

Membracidae (treehoppers)
differ from related families in having a large pronotum that extends back over the abdomen and (often) covers the head; many species appear humpbacked or thorn-like; others have spines, horns or keels

Cicadellidae (leafhoppers)
Comb-like rows of large spines along tibia of hind legs
Short, bristle-like antennae

Fulgoridae (Fulgorid planthoppers)

Aphididae (aphids)
-Adults usually wingless, winged form=alates
-Cornicle=produce alarm pheromones
-Production of wings dependent on environment
-Plant diseases
-Aphid farming

Dactylopiidae (scale leaf/bug)

Thysanoptera (Thrips)
are also known as thunder flies, because they sometimes take to the air in huge numbers (especially in thundery weather) and are occasionally irritating as they can get into people's eyes when they fly around like this.
Some are wingless; where present, the wings are narrow with few or no veins and fringed with long hairs. Mouthparts asymmetrical (no right mandible), suitable for piercing and sucking. Antennae relatively short, 4- to 9-segmented; tarsi 1-2-segmented, with 1-2 claws and are bladder-like at the end.

Megaloptera (Dobsonflies)
large jaws, similar wing structure to Neuroptera (lacewings, antlions) although jaws may give it away, 3 ocelli, 5-segmented tarsi

Chrysopidae (Green Lacewings)
-Adults: green with gold eyes
-Lay eggs on stalks
-Detect bats (tymapanal organs near base of forewing)
-Larvae are "aphid lions"
-Larvae spiny and cryptic

Myrmeleontidae (Antlions)
Look superficially like damselflies but have longer, slightly clubbed antennae
•Softer body then damselfly
•Twigging wing veination
•Petiolate wings
•Larvae are predacious on ants and other small insects

Cicindelidae (Tiger Beetles)

Carabidae (Ground Beetles)

Dytiscidae (Predaceous Diving Beetles)
Aquatic beetles with natatorial legs
•Long filiform antennae
•Mesothoracic legs closer to prothoracic legs than metathoracic legs

Gyrinidae (Whirligig Beetles)
Aquatic beetles
•Split compound eyes (looks like 4 eyes)
•Short antennae
•Front legs long, back two pairs short and flattened
•"Peekaboo Hands"

Hydrophilidae (Water Scavenger Beetles)
Maxillary palps long and slender. Antennae short and clubbed.

Staphylinidae (Rove Beetles)
-Reduced, short elytra
-Long sharp mandibles
-Most are predators
(1)Biocontrol
-Found in litter, under rocks, ant nests

Histeridae (Hister Beetles)

Silphidae (Carrion Beetles)
clubbed antennae; black, oval body often with red, orange, or yellow markings

Lucanidae (Stag Beetles)

Scarabaeidae (Dung Beetles)
Spiny legs with five-segmented tarsi
Lamellate antennae
shovel-like front legs for digging

Passalidae (Bess Beetles)

Buprestidae (Metallic Wood-Boring Beetles)

Elateridae (Click Beetles)

Lampyridae (Fireflies)
-Elytra are soft and & flexible
-Bioluminescent organs
-Luciferin
(1)Reacts with O2 to emit light
(2) Light used to attract mates
-Females sometimes wingless
-Femme fatale: Photuris

Cantharidae (Soldier Beetles)

Lycidae (Net-Winged Beetles)

Cleridae (Checkered Beetles)

Coccinellidae (Lady-Bird Beetles/Ladybugs)

Tenebrionidae (Darkling Beetles)

Meloidae (Blister Beetles)
-Adults have flexible elytra
-Larvae feed on insect eggs
-Hyper-metamorphosis
(1) 1st instar is a "triungulin"
-Adults produce cantharidin

Cerambycidae (Long-Horned Beetles)

Chrysomelidae (Leaf Beetles)
- antennae about half as long as body
- head not narrower than pronotum
- eyes oval shaped
- often with spots, stripes, or colorful
- heart shaped tarsi

Curculionidae (Weevils)
beetles with long snouts with chewing mouthparts on the end and clubbed attennae

Strepsiptera (twisted wing parasite)
easily distinguished by unique shape of wings (although the picture does not reveal it)

Boreidae (snow scorpionflies)

Panorpidae (common scorpionflies)

Siphonaptera (fleas)
Laterally flattened and heavily sclerotized, sucking mouthparts, HOLOMETABOLOUS: wingless; rear jumping legs; prothoracic combs; larvae and pupae live in bedding of host; Able to jump long distances; vectors of diseases including bubonic plague; 1900 spp.

Tipulidae (Crane Flies)
10-50 mm, white, yellowish or brown
Reduced head is retracted into thorax
Membranous body; may have creeping welts
Posterior respiratory disc with lobes

Culicidae (mosquitoes)
piercing-sucking proboscis; scales on wing veins

Chironomidae (Midges)
2-30 mm long, red, white, olive, or yellowish
Well developed, sclerotized head with eyes
Anterior and posterior parapods with hooks
Characteristic shape like letter "J"
May be in a tube made of fine dirt particles
Often caught in surface film

Simuliidae (blackflies)

Stratiomyidae (Soldier Flies)

Tabanidae (Horse Flies)

Asilidae (Robber Flies)
-Elongate body, "hollowed out" head between eyes
-Adults are aerial predators, excellent fliers
-Larvae live in soil, dung, rotten wood

Bombyliidae (Bee Flies)

Syrphidae (Hover/Flower Flies)

Tephritidae (Fruit Flies, Huskfly)

Drosophilidae (Pomace Flies)
Simple wing venation - only five longitudinal veins reach the wing margin
Anal cell is is small or absent
Red eyes

Muscidae (House Flies)
-breeds in filth, -vectors typhoid fever, dysentery, anthrax, and conjuctivits
-only feed in dead tissue sponge up food then land on you= mechanical vector

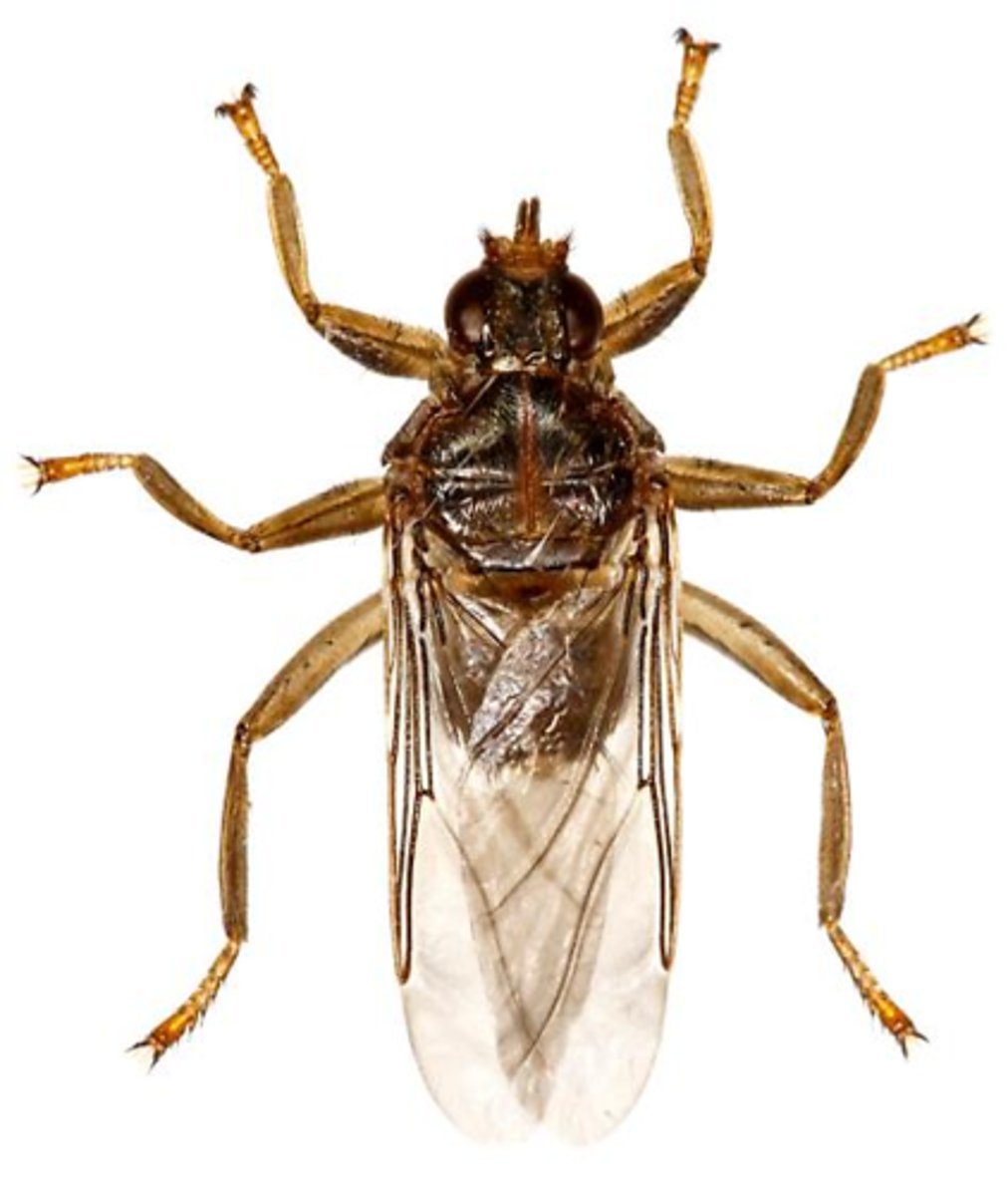
Hippoboscidae (Louse Flies)

Calliphoridae (Blow Flies)
-metallic blue or green
-lay eggs in wounds in animals
-maggot therapy and CSI

Tachinidae (Tachinid Flies)

Trichoptera (caddisfly)
shaped or colored like certain moths, antennae long and threadlike, antennae usually long as body or longer, HW a little shorter than FW

Sesiidae (Clear Winged Moths)
long legged, slim body with yellow/red makings. clear wings that lack scales

Tortricidae (Tortrix Moths)
brown, gray, tan, to resemble dead leaves/bark
small, >3cm
forewing tips can flare, or square off

Hesperiidae (Skippers)
antenna is clubbed and bend like a hook (key ID)
short chunky body
drab colors
3 pairs of walking legs
fast flight

Papilionidae (Swallowtails)
most have extensions on the hindwings
varied colors and iridescence, yellow and black are most common
patterns resemble butterflies that have a bad taste
thorax can have spots that resemble snake heads

Pieridae (whites, sulfurs)
medium size
ends of legs are forked
white or yellow with dark patterns
can have ultraviolet patterns for mating

Nymphalidae (brush footed butterflies)
reduced forelegs and only stand on 4 backlegs
forelegs have brush-like hairs
bright and patterned wings for camouflage among leaves
