Entomology Practical 2

0.0(0)
studied byStudied by 0 people
0.0(0)
full-widthCall with Kai
GameKnowt Play
New
learnLearn
examPractice Test
spaced repetitionSpaced Repetition
heart puzzleMatch
flashcardsFlashcards
Card Sorting

1/50

encourage image

There's no tags or description

Looks like no tags are added yet.

Study Analytics
Name
Mastery
Learn
Test
Matching
Spaced

No study sessions yet.

51 Terms

1
New cards

Chrysopidae (F), Neuroptera (O)

2
New cards

•Wing venation is honeycomblike

•Crossveins on anterior edge of wing are unbranched

  • can be blue, green, yellow, brown

  • lacewing

Chrysopidae (F), Neuroptera (O)

3
New cards

Hemerobiidae (F), Neuroptera (O)

4
New cards

•Wing venation more longitudinal

•Crossveins on anterior edge of wing are branched

  • lacewing

Hemerobiidae (F), Neuroptera (O)

5
New cards

Myrmeleontidae (F), Neuroptera (O)

6
New cards

•Dragonfly like appearance

•Antennae are hooked or club-like

  • prominent antennae

Myrmeleontidae (F), Neuroptera (O)

7
New cards

Corydalidae (F), Megaloptera (O)

8
New cards

•Ocelli present

•4th tarsal segment rounded

•Males have large mandibles for mating

•Dobsonflies and Fishflies

  • big

Corydalidae (F), Megaloptera (O)

9
New cards

Carabidae (F), Coleoptera (O)

10
New cards

•Tarsi 5-5-5

•Trochanters enlarged

•Antennae always linnear

•Antennae attach between eye and mandible

Carabidae (F), Coleoptera (O)

11
New cards

Dytiscidae (F), Coleoptera (O)

12
New cards

•Predaceous Diving Beetles

•Common in freshwater lakes, streams

•Key Feature:

•Hindlegs flattened and feathery

•Antennae long, threadlike

Dytiscidae (F), Coleoptera (O)

13
New cards

Gyrinidae (F), Coleoptera (O)

14
New cards

•Whirligig Beetles

•Front legs long, all other legs short, and flat

•Antennae short clubbed

•Eyes divided in 2 (appears to have 4 eyes)

  • aquatic

Gyrinidae (F), Coleoptera (O)

15
New cards

Hydrophilidae (F), Coleoptera (O)

16
New cards

•Water Scavenger Beetles

•Antennae short and clubbed

•Maxillary palps longer than antennae

•Metasternum is a sharp spine

Hydrophilidae (F), Coleoptera (O)

17
New cards

Scarabaeidae (F), Coleoptera (O)

18
New cards

•Scarabs, dung beetles

•Tip of antennae closeable, 3-4 segmented

•Tarsi 5-5-5

•Front tibia usually widened with outer edge toothed

Scarabaeidae (F), Coleoptera (O)

19
New cards

Staphylinidae (F), Coleoptera (O)

20
New cards

•Rove Beetles

•Long Abdomen

•Short elytra

Staphylinidae (F), Coleoptera (O)

21
New cards

Elateridae (F), Coleoptera (O)

22
New cards

•Click Beetles

•Named because they have a flipping mechanism that makes a “click” noise

•Pronotal corners sharp

•Ventral spine (the click mechanism)

Elateridae (F), Coleoptera (O)

23
New cards

Silphidae (F), Coleoptera (O)

24
New cards

•Carrion Beetles

•Antennae clubbed

•Elytra usually doesn’t cover entire abdomen

•Tarsi 5-5-5

Silphidae (F), Coleoptera (O)

25
New cards

Lampyridae (F), Coleoptera (O)

26
New cards

•Fireflies, Lightning bugs

•Elytra soft

•usually Luminescent area in abdomen

•Head covered by pronotum when looking from above.

Lampyridae (F), Coleoptera (O)

27
New cards

Buprestidae (F), Coleoptera (O)

28
New cards

•The jewel beetles or metallic wood boring beetles

•Elytra pointed at posterior w/ flat tip

•Bullet shaped

•Often metallic

•Tarsi 5-5-5

Buprestidae (F), Coleoptera (O)

29
New cards

Lucanidae (F), Coleoptera (O)

30
New cards

•Stag Beetles

•Antennae have comblike club

•Antennae often elbow

•Mandibles often large

•Tarsi 5-5-5

Lucanidae (F), Coleoptera (O)

31
New cards

Passalidae (F), Coleoptera (O)

32
New cards

•Bess Beetles

•Can get quite large

•Grooved elytra

•Antennae has 3 segmented club

•Head has small forward pointing horn

Passalidae (F), Coleoptera (O)

33
New cards

Cantharidae (F), Coleoptera (O)

34
New cards

•Soldier Beetles

•No luminescent organ

•Head not completely concealed by pronotum

•Tarsi 5-5-5, 4th segment lobed beneath

Cantharidae (F), Coleoptera (O)

35
New cards

Dermestidae (F), Coleoptera (O)

36
New cards

•Carpet or Skin Beetles

•They like to eat dead tissues including your insect collection

•Antennae short, with 3 segmented club

•Antennae fit into grooves in pronotum

•Usually covered in hairs or scales

Dermestidae (F), Coleoptera (O)

37
New cards

Meloidae (F), Coleoptera (O)

38
New cards

•Blister Beetles

•Some secrete cantharidin, which raises painful blisters

•Large head wider than pronotum

•Pronotum narrower than head and adbomen

•Tarsi 5-5-4

Meloidae (F), Coleoptera (O)

39
New cards

Tenebrionidae (F), Coleoptera (O)

40
New cards

•Darkling Beetles

•Keep a lookout for the kidney bean

•Eyes notched

•Antennae arise from under ridge

•Tarsi 5-5-4

Tenebrionidae (F), Coleoptera (O)

41
New cards

Coccinellidae (F), Coleoptera (O)

42
New cards

•Ladybird Beetles or Ladybugs

•Antennae short and clubbed

•Pronotum often covers head

•Tarsi 4-4-4 (looks like 3-3-3)

Coccinellidae (F), Coleoptera (O)

43
New cards

Chrysomelidae (F), Coleoptera (O)

44
New cards

•Leaf Beetles

•Tarsi 5-5-5 (look like 4-4-4)

•Usually have bi-lobed (flared) tarsi

Chrysomelidae (F), Coleoptera (O)

45
New cards

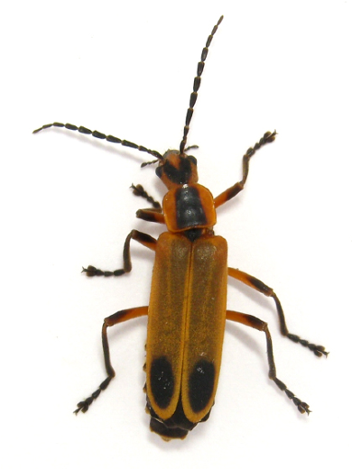
Cerambycidae (F), Coleoptera (O)

46
New cards

•Longhorned Beetles

•Males have very long antennae

•Antennae long, usually longer than half the body

•Eyes are usually notched

•Antennae arise from notch

•Tarsi 5-5-5 (look like 4-4-4)

Cerambycidae (F), Coleoptera (O)

47
New cards

Curculionidae (F), Coleoptera (O)

48
New cards

•Weevils

•Elbowed Antennae

•Antennae clubbed

•Usually have snout

•Tarsi 5-5-5 (look like 4-4-4)

Curculionidae (F), Coleoptera (O)

49
New cards

Order – Strepsiptera

50
New cards

•Forewings reduced to knobs (like fly halteres)

•Eyes raspberry-like

•Females usually wingless and legless that live in wasp and Hemipteran abdomens

Order – Strepsiptera

51
New cards